Detalii proprietate

Eugen Popescu

+4*******18 (Vezi telefon)

Vând teren

Descriere

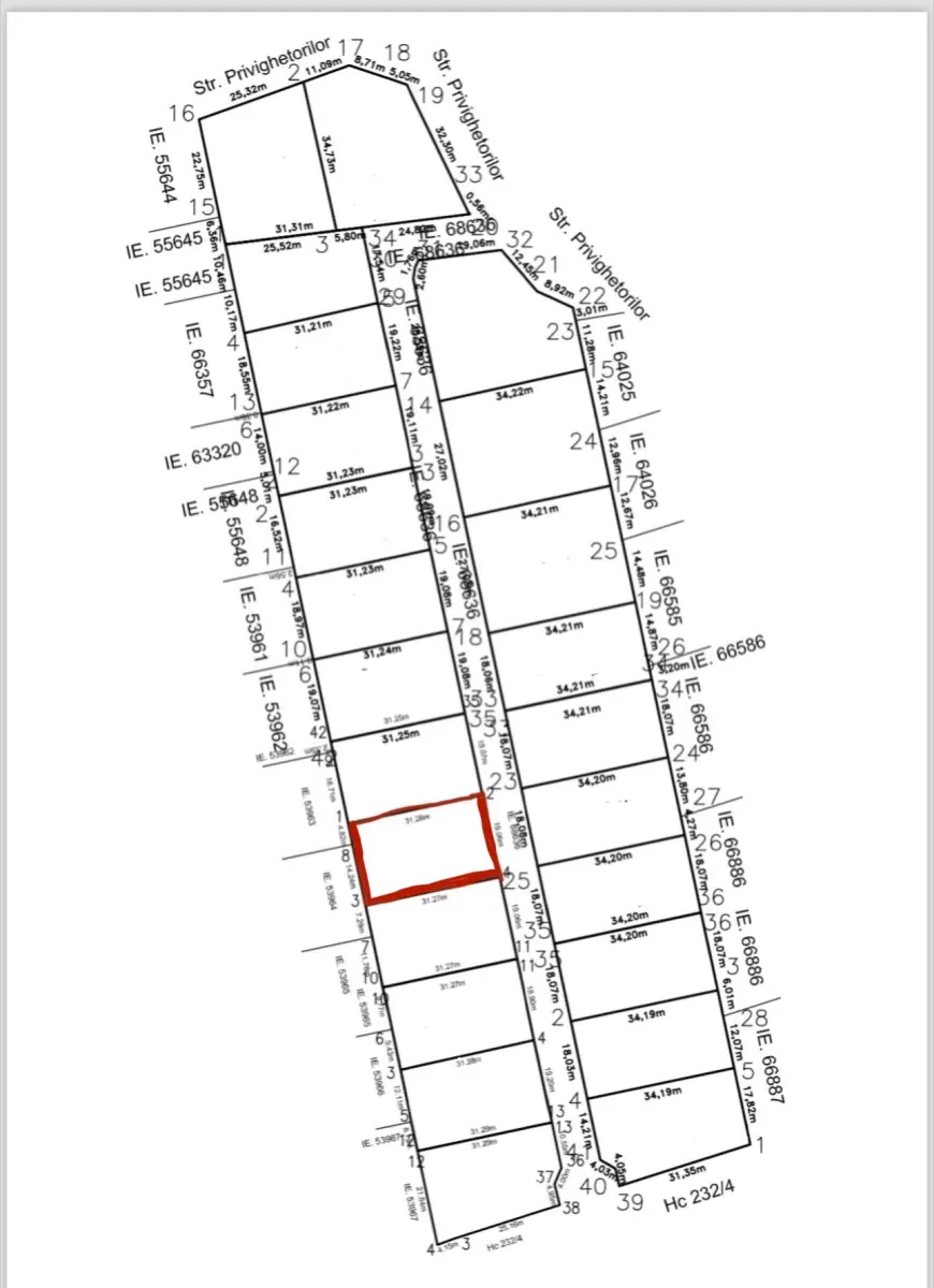
Teren intravilan superb, zonă liniștită, lângă pădurea Vlăsiei, Balotești-Dumbrăveni, str. Privighetorilor, 696 mp (596 + 100 drum servitute), cu o deschidere generoasă de 19,06 m, acces la utilități (apa, canalizare: la limita proprietății; gaz, rețea electrică la aprox 120m). Oportunitate investițională, dar și pentru construcție imediată.

În proximitate se află Spitalul SRI, Edenland Park (5 min), Centru comercial DN1 Value Center (10 min), Centrul de Wellness Therme 10 min, Aeroportul Henry Coandă (15 min).

Acces facil la arterele DN1 (5 km), A3 și A0, la aprox 25 km de București.

Pentru detalii suplimentare vă stau la dispoziție!

Detalii Proprietate

  • Intravilan
  • 696 m²
  • 49,500 €
  • De Vanzare
  • Ilfov
  • Balotești
  • LFACF2Q1CL61BGMF

Caracteristici si Detalii

Documente disponibile
Cadastru
Disponibil
Intabulare
Disponibil
Certificat urbanism
Disponibil
PUZ aprobat
Disponibil
PUD aprobat
Disponibil
Utilitati disponibile
Apa
Disponibil
Curent
Disponibil
Canalizare
Disponibil

Localizare

Related Properties

Gasim casa potrivita pentru tine!

Te ajutam sa faci alegerea perfecta pentru tine si familia ta.